Lote à venda no bairro Chácaras, 4700m²

Rua do Trevo, Chácaras, Betim - MG

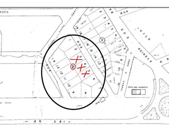
Lote 01 a 14 (exceto 4 e 5)

R$ 2.800.000,00
  • Código do imóvel: MRF3624
  • ÁREA4700m²
Mais informações

Descrição do Lote no bairro Chácaras

Código: MRF3624 Lotes integrados para venda próximo à Av. Bandeirantes. Excelente para a construção de prédio residencial com área de lazer ou imóvel comercial. São 12 lotes ao todos. Opções de fracionamento dos lotes. Todos já estão desmembrados e com matrícula individual. (São todos do mesmo dono, exceto o 4 e 5). CARACTERISTICAS:

Localização do Lote

Rua do Trevo, Chácaras, Betim - MG

Clique para explorar

Saiba mais sobre este imóvel

Morafe Empreendimentos

Morafe Empreendimentos
Endereço: Rua são Paulo,1755 - sl 1504

(31) 99479-4060 Ver telefone
Ligue agora e solicite mais informações. Informe que o imóvel foi visto no Lugar Certo com o código MRF3624.

Imóveis semelhantes

Enviar mensagem